![]() by nakayukuitoman メモ帳
カテゴリ
全体 大度海岸シュノーケリング 大度海岸体験ダイビング 糸満近海ボートシュノーケリング 糸満近海ボート体験ダイビング 糸満近海・ルカン礁ファンダイビング 沖縄本島南部ビーチダイビング 八重瀬町玻名城海岸シュノーケリング 沖縄本島南部 中城湾 北谷町宮城海岸 沖縄本島中部 青の洞窟 恩納村南部近海 恩納村真栄田岬 恩納村万座 日帰り沖縄本島北部ダイビング 沖縄本島北部 慶良間諸島 石垣島 与論島 一日貸切オーダーメイドコース 沖縄のこと 磯場自然(イノー)観察 ダイビングスクール 体験ダイビング シュノーケリング 釣り 番外編 以前の記事
2018年 04月 2018年 03月 2018年 02月 2018年 01月 2017年 12月 2017年 11月 2017年 10月 2017年 09月 2017年 08月 2017年 07月 2017年 06月 2017年 05月 2017年 04月 2017年 03月 2017年 02月 2017年 01月 2016年 12月 2016年 11月 2016年 10月 2016年 09月 2016年 08月 2016年 07月 2016年 06月 2016年 05月 2016年 04月 2016年 03月 2016年 02月 2016年 01月 2015年 12月 2015年 11月 2015年 10月 2015年 09月 2015年 08月 2015年 07月 2015年 06月 2015年 05月 2015年 04月 2015年 03月 2015年 02月 2015年 01月 2014年 12月 2014年 11月 2014年 10月 2014年 09月 2014年 08月 2014年 07月 2014年 06月 2014年 05月 2014年 04月 2014年 03月 2014年 02月 2014年 01月 2013年 12月 2013年 11月 2013年 10月 2013年 09月 2013年 08月 2013年 07月 最新のコメント
タグ
ビーチ
那覇市
北谷町
与論島
貸切
ボート
台風
糸満市
シュノーケリング
ファンダイビング
観光・グルメ
ダイビング
ゆったり
南城市
送迎付き
大度海岸(ジョン万ビーチ)
のんびり
恩納村
本部町
リクエスト
最新の記事
ブログジャンル
画像一覧
|
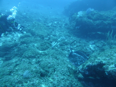
いよいよ大型連休がスタートしましたね。 そして、快晴のスタートで幸先がよろしいです。 さてさて、そんな本日は昨日に引き続き 東京よりお越しのお一人様。 本日も糸満近海へGO~~~。 昨日はイマイチでしたが、どーなったことでしょうか?! 冒頭の通り、快晴。 しかも、波&風も前日と比べると相当収まったので・・・ ![]() そう!足を伸ばして行っちゃいました「ルカン礁」! そして、浮遊物は多かったものの 透明度は文句なし! 青々とした世界が広がっておりました。 オマケに水深32m付近では ![]() さらにはナポレオンフィッシュ・アオウミガメ・ネムリブカと 次々と登場して充実内容の2ダイビングとなりました。 最後は港へ戻りがてら「トコマサリ礁西」へ。 川のごとく激流でしたが、 大きな岩穴へ入ってしまえば問題なし~。 ![]() ![]() 眺めながら気持ちよく身をゆだねて流れ流れ終了となりました。 全て午前中に終わり、 ![]() また明日へと続きますよぉ~。 糸満の海を知り尽くした糸満市内の各店にお任せ! ・リクエスト重視で一組貸切対応の「海の遊び処 なかゆくい」 ・じっくり&のんびりフォトダイビングなら「かりゆし」 ・ダイバー教育には実績あり「プロテウス」 ぽちっとお願いします。
■
[PR]
by nakayukuitoman
| 2018-04-28 15:57
| 糸満近海・ルカン礁ファンダイビング
|
Comments(1)
|
ファン申請 |
||
外部サイトRSS追加 |
||